外冈这2条新建道路有望年内竣工!在你家附近吗?
为进一步完善道路网络,为市民生活提供良好的交通支持,外冈镇年内将有两条(段)新建道路竣工。
道路名称:
墨玉北路(钱门塘路-宝钱公路)段新建工程
建设位置:
南起钱门塘路(不包括交叉口),
北至宝钱公路(包括交叉口)。
目前,墨玉北路(钱门塘路-宝钱公路)段已在施工中,道路设计有双向4快2慢车道,将新建45米红线宽公路及沿线3座跨河桥梁和驳岸工程,同步实施排水、公路照明、公路绿化、交通标识标线、交通信号灯等附属工程和设施。主线公路技术等级为二级公路,设计车速60公里/小时。

预计2020年9月底完成现场竣工验收。

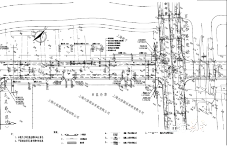
道路名称:
石泥泾路中段(吴塘河东-百安公路)新建工程
建设位置:
东至百安公路,
西至吴塘河东。
建设规模全长535.25米,道路红线宽度30米,其中机动车道15米,两侧绿化带、非机动车道、人行道各7.5米,沿线敷设雨污水管道。道路按城市支路标准设计,设计车速40公里/小时。

预计2020年12月底完成现场竣工验收。


